Rutilo (Rutile)

NOMBRE: RUTILO

FÓRMULA: TiO2

SISTEMA: Tetragonal

GRUPO: Óxidos e hidróxidos


FORMA: Cristales automorfos alargados o aciculares con secciones cuadradas, granos xenomorfos

COLOR: Amarillo marrón-rojizo (casi opaco)

PLEOCROÍSMO: Suave, entre amarillos-marrón y marrón-rojizo

MACLAS: De contacto según {101}, en algunos casos cíclicas de 6 u 8 segmentos (macla de la sagenita) con aspecto estrellado

EXFOLIACIÓN: Buena según {110}, generalmente poco visible en lámina delgada.

ÍNDICES DE REFRACCIÓN

    nϖ: 2,605 - 2,613

    nε:  2,899 - 2,901

     - 

RELIEVE: Muy alto + 

BIRREFRINGENCIA: 0,286   a  0,296 (Extrema)

COLOR DE INTERFERENCIA: Colores de órdenes superiores enmascarados por el color del mineral

ORIENTACIÓN: nε (>nω), según el eje c

ELONGACIÓN: Positiva

ÁNGULO DE EXTINCIÓN: 0º = recta

SIGNO ÓPTICO: Uniáxico (+)   (puede ser  B(-))


OTROS DATOS: Relieve positivo y birrefringencia extremos. Puede aparecer como cristales aciculares maclados, macla de la sagenita ( p. ej. en planos de exfoliación en biotitas cloritizadas). Puede tener un signo óptico anómalo B(-)

ASOCIACIÓN: Accesorio en muchas rocas eruptivas y metamórficas. Como mineral detrítico en sedimentos clásticos

Granos xenomorfos de rutilo con color marrón en una eclogita (onfacita, cuarzo, granate, hornblenda, biotita).

Lado mayor de la imagen= 1.2 mm.

Misma zona, con polarizadores cruzados. Colores de interferencia de órdenes superiores (birrefringencia extrema), enmascarados por el color del mineral.

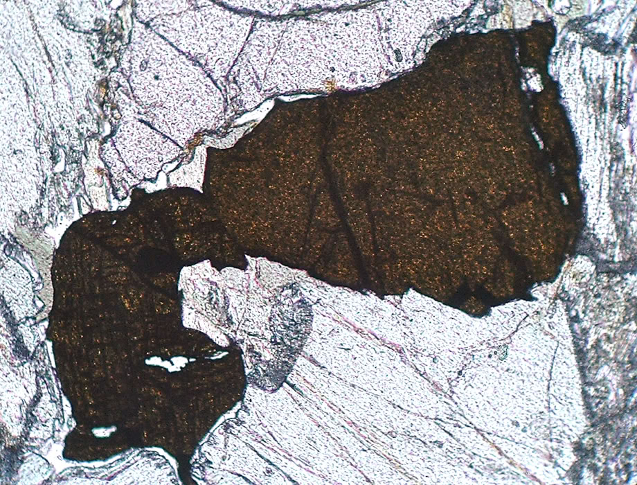
Granos xenomorfos de rutilo con color marrón dorado en un esquisto (cuarzo, biotita, plagioclasa, granate, cianita).

Lado mayor de la imagen= 1.15 mm.

Misma zona, con polarizadores cruzados.

Cristales automorfos aciculares de rutilo con macla de la sagenita, en una biotita parcialmente cloritizada de un granito (cuarzo, feldespato potásico, plagioclasa, moscovita, cordierita).

Lado mayor de la imagen= 2 mm.

Misma zona, con polarizadores cruzados.

Cristales automorfos, aciculares, de rutilo con macla de la sagenita, en una clorita de un granito (cuarzo, feldespato potasio, plagioclasa, biotita cloritizada, zircón, apatito, cordierita).

Lado mayor de la imagen= 2.3 mm.

Misma zona, con polarizadores cruzados. La clorita está orientada según una sección basal, por lo que tenemos una sección de birrefringencia muy baja, en la que destacan los cristales de rutilo por su alta birrefringencia.