Grupo de la turmalina (Tourmaline group)

NOMBRE: TURMALINA (Grupo se composición variable con más de 30 especies minerales diferentes en función de las sustituciones catiónicas en la fdiferentes posiciones de la órmula general)

FÓRMULA GENERAL: (Na,Ca,◻︎)(Fe,Mg,Li,Mn,Al)3(Al)6(BO3)3(Si6O18)(OH,F,O)4

SISTEMA: Hexagonal romboédrico

GRUPO: Ciclosilicatos


FORMA: Cristales prismáticos ditrigonales, con secciones basales triangulares o hexagonales y secciones longitudinales rectangulares

COLOR: Incoloro, marrón, azul-violeta, verde, rosa o amarillo, con zonaciones frecuentes 

PLEOCROÍSMO: Muy neto (inverso)

MACLAS: Raras, normalmente no presenta

EXFOLIACIÓN: No presenta

ÍNDICES DE REFRACCIÓN

    nϖ: 1,631 - 1,698

    nε:  1,610 - 1,675

     - 

RELIEVE: Medio +  a  Alto +

BIRREFRINGENCIA: 0,015   a  0,035 (Media)

COLOR DE INTERFERENCIA: 1er y 2º orden en función del contenido en Fe

ORIENTACIÓN: nε (<nω) según el eje c

ELONGACIÓN: Negativa

ÁNGULO DE EXTINCIÓN: 0º = recta

SIGNO ÓPTICO: Uniáxico (-)


OTROS DATOS:: Sin exfoliación, pero con fracturas transversales frecuentes. En la posición X podemos tener vacancias (◻︎) además de Na y Ca.


Los miembros, del grupo, más comunes son:

    Chorlo - fluorchorlo, NaFe3Al6(BO3)3(Si6O18)(OH,F)4

    Dravita - fluordravita NaMg3Al6(BO3)3(Si6O18)(OH,F)4

    Elbaita - fluorelbaita, Na(Li,Al)3Al6(BO3)3(Si6O18)(OH)4


ASOCIACIÓN: Pegmatitas graníticas, rocas ígneas ácidas (granitos y aplitas) y metamórficas (esquistos y gneises). Puede encontrarse en rocas sedimentarias como mineral detrítico

Cristales automorfos zonados de turmalina (chorlo-dravita) en una vena de una turmalinita (cuarzo, apatito).

Lado mayor de la imagen = 1.2 mm.

Misma zona, con polarizadores cruzados.

Cristales automorfos zonados de turmalina (chorlo-dravita) en un esquisto (cuarzo, moscovita).

Lado mayor de la imagen = 1.6 mm

Misma zona, con polarizadores cruzados. La sección basal de la imagen presenta un comportamiento isótropo.

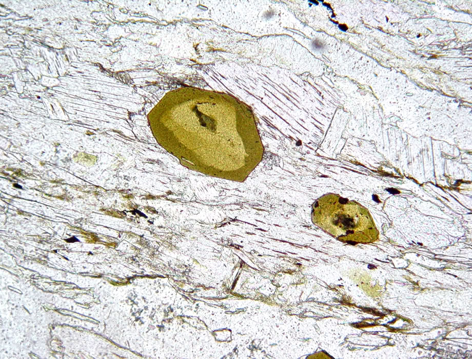
Cristal xenomorfo de turmalina (chorlo-dravita) en un gneiss (cuarzo, feldespato potásico, plagioclasa, biotita, moscovita).

Lado mayor de la imagen = 4.1 mm.

Misma zona, con polarizadores cruzados.

Cristales subautomorfos (casi incoloros) de turmalina de litio (elbaita) en una pegmatita (cuarzo, albita, lepidolita).

Lado mayor de la imagen = 7.3 mm.

Misma zona, con polarizadores cruzados.

Cristales  de turmalina tipo chorlo con zonaciones de color complejas en una cavidad miarolítica de una rgranodiorita (cuarzo, plagioclasa, biotita, feldespato potasico, epidota, clorita, titanita, minerales opacos, zircón).

Lado mayor de la imagen = 6 mm.

Misma zona, con polarizadores cruzados.

Turmalinaa automorfas, tipo chorlo-dravita con con zonaciones de color concéntricas en una turmalinita (cuarzo, microclian, plagioclasa, moscovita, apático, rutilo).

Lado mayor de la imagen = 2 mm.

Misma zona, con polarizadores cruzados.